
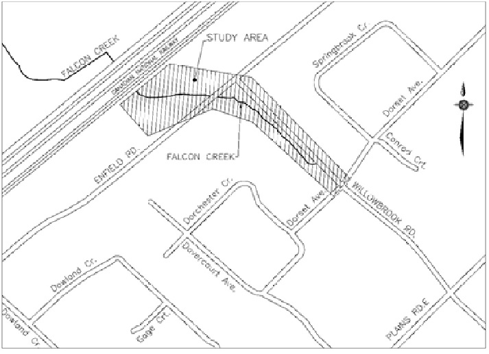
The City of Burlington, through their consultant Valdor Engineering Inc., is undertaking a Municipal Class Environmental Assessment to address erosion concerns in the section of Falcon Creek, between the CN Railroad and Dorset Avenue in the City of Burlington.
The Study will be carried out under Schedule “B” in accordance with the requirements of the Municipal Engineers Association (MEA), Municipal Class Environmental Assessment for Municipal Projects. The study process includes public and stakeholder consultation and the identification of measures to mitigate adverse impacts.
Check this webpage for ongoing project updates. If you wish to receive email notifications whenever the project page is updated, use the button located at the bottom right corner of this page, beneath the Contact Us details. To stay informed about all current city construction projects and other municipal news, please subscribe using the button positioned at the top right corner of this page.
The City of Burlington has completed a Schedule ‘B’ Class Environmental Assessment for Falcon Creek between the CN Railroad and Willowbrook Road to facilitate erosion control improvements. The project was completed to select a preferred plan to rehabilitate a highly eroded 275 m reach of Falcon Creek as identified in the key plan below. The study was conducted in accordance with the requirements of the Municipal Engineers Association (MEA), Municipal Class Environmental Assessment for Municipal Projects.
The recommended solution at identified erosion sites consists of erosion monitoring, naturalization, minor safety improvements, stormsewer inlet improvements, and plantings to stabilize the creek banks and prevent erosion.
A Project File Report documenting the study process, the recommended design alternative solutions, and the design concepts have been prepared and are available for a 30-calendar day review period for the public beginning on Monday, Sept. 30, 2024. Subject to comments received following this Notice and the receipt of approvals, the City intends to proceed with construction of the recommended project, as outlined in the Project File Report.
Anyone with questions, concerns or comments can give written comments to the contacts listed below. Comments must be received no later than Wednesday, Oct. 30, 2024.
The Project Team invites public input and comments and will incorporate them into the planning and design of this project. A Public Information Centre (PIC) will be held as part of the process to provide an opportunity for the public to review and comment on the study findings. Notice of the PIC will be provided to the public and agencies as the study progresses.
An Online Public Information Centre (PIC) was held on Wednesday, March 8, 2023, offering residents the opportunity to share information, express concerns, and provide input.
The City wishes to ensure that anyone with an interest in this study has the opportunity to provide input on the study alternatives. Except for personal information, all comments will become part of the public record. To provide your comments, request additional information concerning this project or to join the study mailing list, please contact either of the Project Team members:
| Project contacts |
|
Arif Shahzad, M.Eng., P.Eng. Senior Project Manager City of Burlington 426 Brant St., P.O. Box 5013 Burlington, ON, L7R 3Z6 Tel: 905-335-7600, ext. 7486 Bill Coffey, M.Sc., P. Eng. Project Manager Valdor Engineering Inc. 571 Chrislea Rd., Suite 4 Woodbridge, ON, L4L 8A2 Telephone: 905-264-0054, ext. 232 |
Updates will be posted throughout the project.
| Project updates |
|